Urgente
Furacão Melissa se torna o mais forte do ano e ameaça Caribe
Fenômeno atinge ventos de 280 km/h e já deixou sete mortos em países da região
Camila Diel [editores@diarinho.com.br]
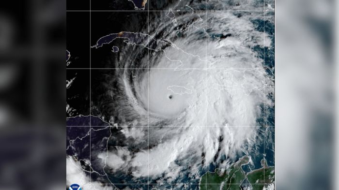
O furacão Melissa alcançou a categoria 5 na escala Saffir-Simpson e é considerado o mais forte do ano, segundo o Centro Nacional de Furacões dos Estados Unidos. De acordo com a BBC News, o fenômeno apresenta ventos superiores a 280 km/h e avança lentamente sobre o Caribe, gerando preocupação por seu enorme poder de destruição.
O olho do Melissa se desloca a menos de 7 km/h ao sul da Jamaica, onde deve tocar o solo até o fim desta terça-feira. O ritmo lento significa que chuvas intensas e ventos devastadores já afetam a região há dias e podem persistir por mais tempo.
Continua depois da publicidade
O ministro da Água, Meio Ambiente e Mudanças Climáticas da Jamaica, Matthew Samuda, afirmou à BBC que a situação é “assustadora”. Segundo ele, 70% da população vive a menos de 5 km do mar, o que deixa áreas baixas — como Kingston, Old Harbour Bay e Rocky Point — sob alto risco de inundações. “Esperamos ter feito o suficiente em termos de preparação”, disse.
De acordo com a UOL, o furacão já causou sete mortes no Caribe: três na Jamaica, três no Haiti e uma na República Dominicana. As vítimas jamaicanas morreram durante preparativos para o impacto, ao serem atingidas por galhos ou eletrocutadas durante podas preventivas, informou o ministro da Saúde local, Chris Tufton.
Meteorologistas projetam que o Melissa pode ser a tempestade mais destrutiva da história da Jamaica, com mais de mil pessoas já abrigadas. A previsão é que a ilha sofra “destruição generalizada”, com danos severos em casas e infraestrutura.
A analista Sarah Keith-Lucas, da BBC, lembrou que furacões diretos sobre a Jamaica são raros — apenas três desde 1988 —, o que agrava o impacto potencial deste evento.
O furacão deve seguir depois em direção a Cuba, atingindo a província de Santiago de Cuba, onde 500 mil pessoas foram evacuadas.
Segundo meteorologistas citados pela BBC, a força do Melissa se explica por três fatores: águas excepcionalmente quentes no Caribe Ocidental, pouco cisalhamento de vento — o que permite que o sistema cresça de forma estável — e movimento lento, que mantém o furacão sobre as mesmas áreas por longos períodos.
Especialistas apontam que o aquecimento global intensifica a força dos furacões. Embora o número de tempestades não tenha aumentado, as mudanças climáticas tornam as que se formam mais intensas, com ventos mais fortes e chuvas mais volumosas. O Painel Intergovernamental sobre Mudanças Climáticas (IPCC) prevê aumento global na proporção de ciclones de categoria 4 e 5 nas próximas décadas.
A temporada de furacões no Caribe vai de junho a novembro, com pico em outubro. A cada ano, a Jamaica costuma enfrentar duas ou três tempestades tropicais, mas raramente de forma tão direta — e com tamanha potência.
Continua depois da publicidade
Camila Diel
Camila Diel; jornalista no DIARINHO; formada pela Univali, com foco em jornalismo digital e produção de reportagens multimídia.
